
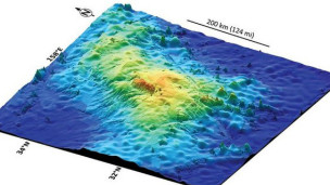
سائنسدانوں کا کہنا ہے کہ انہوں نے دنیا کے سب سے بڑے آتش فشاں کو دریافت کیا ہے جو ایک دیو قامت چٹان کی طرح بحرالکاہل کی لہروں کے نیچے پوشیدہ ہے۔
جریدے نیچر جیو سائنس کے لکھنے والی ایک ٹیم کا کہنا ہے کہ تین لاکھ دس ہزار مربع کلومیٹر پر پھیلے ’ٹامو ماسِف‘ آتش فشاں کا مقابلہ سیارے مریخ کے وسیع ’اولمپس مانس‘ آتش فشاں کے ساتھ کیا جا سکتا ہے جو کہ نظام شمسی کا سب سے بڑا آتش فشاں ہے۔
اس کی وضع قطع زمین پر موجود سب سے بڑے آتش فشاں ’ماؤنا لوا‘ سے کئی گنا بڑی ہے اور یہ سطح سمندر سے دو کلومیٹر نیچے ہے۔
یہ زیر آب سطح مرتفع شاتسکی پر واقع ہے جو جاپان سے سولہ سو کلومیٹر کی دوری پر واقع ہے۔
یہ ایک سو پینتالیس ملین سال پہلے بنا تھا جب آتش فشاں سے لاوے کا اخراج ہوا اور اس سے ایک ڈھال کی صورت میں یہ آتش فشاں نمودار ہوا۔
محققین نے اس امکان کو نظر انداز کیا کہ یہ آتش فشاں کبھی سطحِ آب سے اوپر آیا ہے اور ایسا آئندہ ہونا ممکن نہیں ہے۔
اس جائزے کے مصنف ولیم سیگر جن کا تعلق یونیورسٹی آف ہیوسٹن سے ہے نے اے ایف پی کو بتایا کہ ’اہم بات یہ ہے کہ ٹامو ماسیف بہت مختصر عرصے میں بنا تھا جو کہ جغرافیائی زبان میں ایک سے کئی ملین سال کا عرصہ بنتا ہے اور اب نا پید ہے‘۔
اس کا ایک دلچسپ رخ یہ ہے کہ ’گچ کے زمانے (65 سے 145 ملین سال قبل کا زمانہ) میں بہت سارے سمندری سطح مرتفع پھٹے تھے مگر اب ہم ان کو نہیں دیکھ سکتے ہیں اور سائنسدان یہ جاننا چاہتے ہیں کہ ایسا کیوں ہے؟‘
پروفیسر سیگر نے دو دہائی قبل اس کا مطالعہ کرنا شروع کیا مگر اس وقت یہ واضح نہیں تھا کہ ٹامو ماسیف ایک آتش فشاں ہے یا کئی ہیں، جیسا کہ زمین پر کئی جگہوں پر دیکھا جاتا ہے۔
مریخ پر موجود آتش فشاں اولمپس مونس کی جڑیں بہت کم گہری ہیں ٹامو ماسیف کی جڑیں تیس کلومیٹر تک زیرِ زمین جاتی ہیں۔
سیگر سمجھتے ہیں کہ اسی نوعیت کے درجن بھر بڑے بڑے آتش فشان زمین پر موجود زیر سمندر سطح مرتفع میں پائے جا سکتے ہیں۔
ڈاکٹر سیگر نے کہا کہ ’ہمارے پاس ان میں دیکھنے کے لیے ڈیٹا موجود نہیں ہے تاکہ ہم ان کے ڈھانچے بارے میں جان سکیں۔ مگر میں حیران نہیں ہوں گا اگر مجھے پتہ چلے کہ تامو آسیف کی طرح کے آتش فشاں اور بھی ہیں‘۔
’درحقیقت سب سے بڑا سمندری آتش فشاں اونتونگ جاوا ہے جو کہ خط استوا کے قریب بحرالکاہل میں واقع ہے جزائر سلمان کے قریب اور اس کا رقبہ فرانس جتنا ہے‘۔
تامو نام ٹیکسس کی اے اینڈ ایم یونیورسٹی کے نام سے بنایا گیا ہے جہاں پروفیسر سیگر یونیورسٹی آف ہیوسٹن منتقل ہونے سے قبل تدریس کے فرائض انجام دے رہے تھے۔

سماجی رابطہ